一、患宠基本信息
品种:猫;年龄:7岁;性别:公;就诊时间:2025年9月29日;病因:从四楼意外坠落,致全身多器官损伤、骨骼创伤,紧急送至携宠金诚动物医院救治。
二、核心病症总结
猫咪高空坠落后呈现多系统、多器官联合损伤,核心病症包括:
- 骨骼创伤:高空坠落致骨骼损伤,需紧急修复固定
- 凝血功能严重异常:内源性凝血通路障碍,存在隐匿性出血风险
- 重度肝损伤:肝细胞受损,肝功能指标显著异常
- 肾功能损伤:肾脏灌注不足,肌酐、尿素氮显著升高
- 全身重度炎症反应:白细胞、单核细胞异常升高
- 全身性代谢紊乱:高血糖、高乳酸血症,机体处于严重应激状态
- 电解质与蛋白代谢异常:血钙偏低、白蛋白偏低、球蛋白偏高
三、诊疗检查过程及结果
本次诊疗分两日完成,先后开展凝血四项、血常规、血液生化、SDMA、乳酸等全套重症检查,动态监测指标变化,明确全身损伤程度。
2025年9月29日 首次全面检查
1. 凝血四项检查大头 凝血四项.pdf
- 活化部分凝血活酶时间(APTT):105.6s,显著延长
- 纤维蛋白原(Fib):1.63g/L
- 凝血酶原时间(PT):7.9s
- 凝血酶时间(TT):25.9s,延长
提示:内源性凝血功能严重异常,机体凝血障碍,存在内出血高危风险。
2. 血常规检查石鑫_大头 血常规生化_20250929_093527_1331.pdf
- 红细胞(RBC):7.20×10^12/L,正常
- 红细胞比容(HCT):35.7%,正常
- 血红蛋白(HGB):11.4g/dL,正常
- 白细胞(WBC):55.48×10^9/L,显著升高
- 中性粒细胞(NEU):52.72×10^9/L,升高
- 单核细胞(MONO):1.02×10^9/L,升高
- 血小板(PLT):212K/μL,正常
- 平均血小板体积(MPV):10.6fL,偏低
提示:全身重度炎症反应,符合高空坠落创伤后应激与组织损伤表现。
3. 血液生化检查
- 血糖(GLU):11.66mmol/L,升高(应激性高血糖)
- 肌酐(CREA):226μmol/L,升高(肾功能损伤)
- 尿素(UREA):25.2mmol/L,升高(肾灌注不足)
- 钙(CA):1.91mmol/L,偏低
- 磷(PHOS):1.83mmol/L,正常
- 总蛋白(TP):71g/L,正常
- 白蛋白(ALB):24g/L,偏低
- 球蛋白(GLOB):46g/L,升高
- 谷丙转氨酶(ALT):924U/L,显著升高(重度肝细胞损伤)
- 碱性磷酸酶(ALKP):13U/L,偏低
- 总胆红素(TBIL):6μmol/L,正常
- 胆固醇(CHOL):3.58mmol/L,正常
提示:肝、肾双器官实质性损伤,蛋白代谢、电解质紊乱,机体严重应激。
4. 专项指标检查石鑫_大头_20251001_110950_1339.pdf
- 乳酸(LAC):2.83mmol/L,升高(全身组织灌注不足、缺氧)
- SDMA:15μg/dL,升高(肾功能早期损伤)
提示:全身组织缺氧、微循环障碍,肾脏功能受损明确。
2025年10月1日 术后复查检查
1. 血常规复查石鑫_大头_20251001_110950_1339.pdf
- 红细胞(RBC):6.17×10^12/L,偏低
- 红细胞比容(HCT):30.2%,偏低
- 网织红细胞(RETIC):59.4K/L,升高(骨髓造血启动,贫血开始纠正)
- 白细胞(WBC):41.32×10^9/L,仍高但较前下降
- 中性粒细胞(NEU):38.74×10^9/L,下降
- 单核细胞(MONO):0.80×10^9/L,升高
- 血小板(PLT):237K/μL,正常
提示:炎症逐步控制,骨髓造血功能恢复,贫血处于代偿修复期。
2. 血液生化复查
- 血糖(GLU):10.20mmol/L,仍高但较前下降
- 肌酐(CREA):171μmol/L,显著下降(肾功能好转)
- 尿素(UREA):25.7mmol/L,仍高
- 钙(CA):1.96mmol/L,恢复正常区间
- 谷丙转氨酶(ALT):424U/L,大幅下降(肝损伤快速缓解)
- 碱性磷酸酶(ALKP):<10U/L,偏低
- 乳酸(LAC):2.35mmol/L,下降至接近正常
- SDMA:12μg/dL,恢复正常
提示:经救治后肝、肾功能显著改善,组织灌注与缺氧状态缓解。
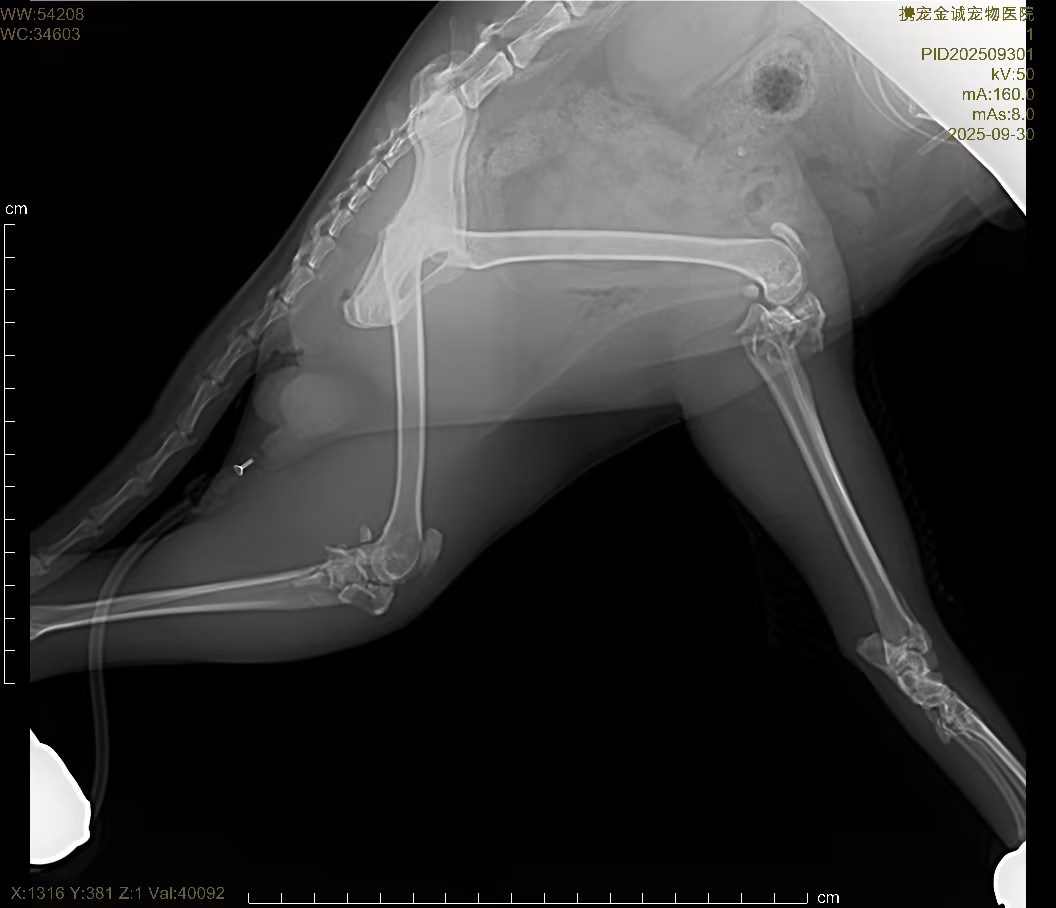
3.影像学检查(X 光)

对患猫胸腔、腹腔、全身骨骼进行数字化 DRX 光正侧位摄片,明确高空坠落所致骨骼、胸腔、腹腔脏器损伤情况:
骨骼系统
脊柱、四肢长骨可见骨连续性中断、骨皮质错位,确诊高空坠落所致外伤性骨折,骨折端无明显粉碎性重度破坏,适合微创固定修复;
骨盆结构轻度移位,无骨盆环破裂、无脏器卡压,无开放性骨折表现;
关节腔结构清晰,无脱位、无关节腔内积液。
胸腔脏器
双肺纹理略增粗,无气胸、无血胸、无肺挫伤重度实变;
心影轮廓正常,无胸腔积液、无纵隔移位,无致命性胸腔损伤。
腹腔脏器
腹腔内脏器位置正常,无游离气体、无腹腔积液,排除胃肠道穿孔、膀胱破裂等急腹症;
肝、肾轮廓未见明显破裂、移位,无急腹症影像学征象。
X 光结论:确诊四肢 / 躯干外伤性骨折,无气胸、血胸、腹腔破裂等致命性继发损伤,为骨 02 胶水微创骨折固定手术提供明确影像学依据,手术指征明确、安全性可评估。
四、核心诊疗亮点:联合浙江大学教授·骨02胶水微创骨骼修复手术
针对猫咪高空坠落导致的骨骼创伤,我院启动重症创伤多学科联合救治,突破传统手术局限:
- 专家联合主刀:特邀浙江大学权威骨科教授亲临我院,全程指导并参与手术,保障手术安全性与精准度
- 创新技术应用:采用骨02胶水进行骨骼微创固定手术并结合传统钢板、钢钉固定
手术优势:
- 创口极小,对坠楼后虚弱机体损伤更低
- 骨骼固定牢固,稳定性强
- 术后愈合快,大幅缩短康复周期
- 减少感染、出血、二次损伤等并发症
- 联合救治:手术同期开展保肝、护肾、纠正凝血、控制炎症、纠正代谢紊乱等综合重症支持治疗,实现“骨骼修复+内脏保护”双保障。
五、综合诊断结果
结合两日检查、手术及术后复查,确诊:
- 猫高空坠落综合征
- 骨骼创伤(骨02胶水微创修复术后)
- 凝血功能障碍
- 创伤后重度肝损伤
- 急性肾损伤(肾前性+肾性)
- 全身重度炎症反应
- 应激性高血糖、高乳酸血症
- 轻度低蛋白血症、低钙血症
六、病例诊疗关键点总结
- 重症急救高效性:猫咪四楼坠落致多器官衰竭风险,我院第一时间完成全套检查,快速锁定损伤靶点,为抢救争取黄金时间
- 多学科联合救治:联合浙江大学教授开展高难度骨骼手术,实现创伤急救与微创修复完美结合
- 创新技术突破:骨02胶水应用于坠楼猫咪骨骼修复,创伤小、恢复快,适合重症体弱患宠
- 动态监测显效:仅48小时复查,肝、肾功能、炎症、凝血、代谢等关键指标全面好转,救治效果显著
- 多系统同步管理:兼顾骨骼修复与肝、肾、凝血、代谢等多器官保护,避免单一治疗引发继发损伤
七、临床治疗总结与技术价值
- 救治成果:7岁猫咪四楼高空坠落,多器官重度损伤,经浙大教授联合手术+骨02胶水微创修复+重症综合支持后,生命体征稳定,关键指标快速好转,成功脱离生命危险


- 技术价值:骨02胶水微创骨骼修复技术,为宠物高空坠楼、复杂骨外伤提供更安全、更微创、更高效的治疗方案,尤其适合老年、体弱、重症患宠
- 学科优势:我院具备宠物重症急救、骨外伤微创治疗、多器官损伤综合救治能力,可联动高校专家资源,为危重症患宠提供顶级诊疗保障
八、病例启示
- 宠物高空坠落易致多器官联合损伤,不可仅观察表面伤情,需立即就医做全面检查
- 骨外伤重症患宠优先选择微创治疗,降低手术应激,提高存活率
- 老年/重症宠物救治需多学科、多器官同步管理,联合专家资源可显著提升救治成功率
- 日常需做好居家防护,封闭阳台、窗户,避免宠物高空坠落意外发生
评论 (0)